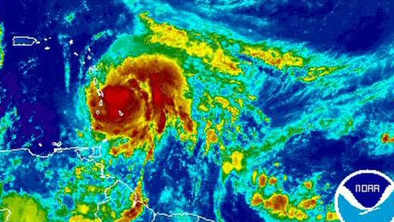
A second powerful storm in as many weeks was bearing down on a string of battered Caribbean islands, with forecasters saying Maria would strengthen rapidly into a major hurricane as it ripped into the Leeward Islands on Monday night.
Maria’s strength was building as it approached the Lesser Antilles, the U.S. National HurricaneCenter said, estimating its winds near 90 miles per hour.





