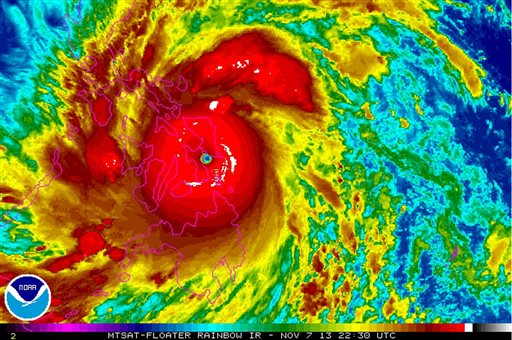
Manila is expected to get hit by Typhoon Haiyan, which has torn through the Philippines on Friday leaving multiple dead and doling out heavy damage, prompting officials to issue a red alert.
The typhoon has made multiple landfalls over the day, and NASA estimates that Manila will be impacted by the northeastern quadrant, the strongest side of the storm.
Just after noon, The Metro Manila Disaster Risk Reduction and Management Council issued a red alert for southern metro Manila, and a blue alert for the eastern and western parts of the metro area.
PAGASA said that Haiyan will bring intense rainfall to metro Manila by 5 p.m., reported Rappler. Between 10 mm and 20 mm (about .4 to .8 inches) of rain is expected to fall, but the rainfall won’t be “concentrated” because the typhoon is moving so fast.
All classes are canceled across the metro area, including college and primary school classes.
Story developing; check back for updates
MORE:
Tacloban City Hit by Typhoon Haiyan; Flooding, Damage Reported
Ormoc City, Tolosa, Dulag: Power Outages in Leyte After Typhoon Yolanda Hits
Cebu: 2 Dead as Fierce Winds and Rain From Typhoon Haiyan Hit Province






