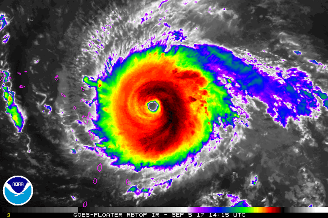
Hurricane Irma reached historic proportions on Wednesday, Sept. 6, becoming the only Atlantic or Eastern Pacific hurricane on record with sustained winds of 185 mph for over 24 hours, according to Eric Blake, a scientist with the National Hurricane Center (NHC).
Irma slammed Caribbean islands with pounding winds, rain, and surging surf on Wednesday as officials in Florida called for evacuations ahead of the storm’s expected landfall there this weekend.
Irma could become the second powerful storm to thrash the U.S. mainland in as many weeks, but its precise trajectory remains uncertain. Hurricane Harvey killed about 60 people and caused as much as $180 billion in damage after hitting Texas late last month.
The eye of Irma, a Category 5 storm with winds of 185 miles per hour, was passing over the northernmost Virgin Islands on Wednesday afternoon after crossing the half-French, half-Dutch island of St. Martin, the NHC said. Category 5 is its highest category.






