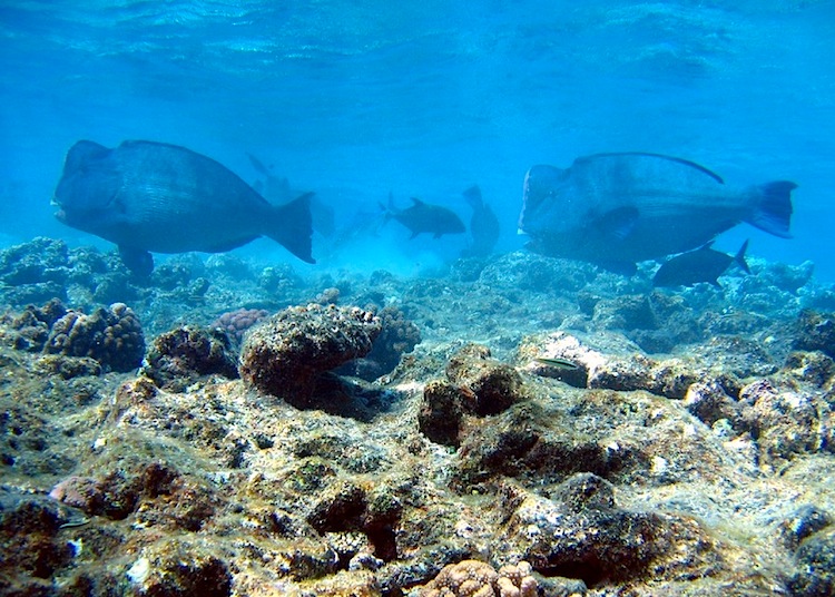
The colorful denizens of coral reefs known as parrotfish are important in maintaining and regenerating their habitat, according to new research from Australia.
A team of scientists looked at the abundance of parrotfish species on 18 coral island reefs from Tahiti in the central Pacific Ocean to Mauritius in the west Indian Ocean.
“Parrotfishes are the constant gardeners of the reef,” said study co-author David Bellwood at James Cook University in Townsville in a press release. “They play a crucial role in keeping it healthy, suppressing weed, removing sediment and helping the corals to regrow after a setback.”
These fish remove weedy growth and dead corals from the reef, making way for new corals to settle. They also clear away tons of potentially smothering sediment from the corals, helping to facilitate reef recovery from storms, bleaching, and human activities.
“But there are two sorts of parrot fish—the large ones which perform the main garbage removal task for the reef, and the much smaller once which scrape away at the reef and keep it clean, healthy and free of weed,” Bellwood explained.
“Both are being targeted by fishers, but the smaller parrotfish appear better able to withstand the pressure.”
The researchers believe reef cleaners like these small parrotfish could be the main reason why many coral reefs globally have survived despite heavy human exploitation.
“These smaller fish are incredibly tough and this is good news, because it means they are in a sense buying us time to get the management of coral reefs right, as the world sorts out how it is going to cut its carbon emissions and reduce other pressures on reefs,” Bellwood said.
Despite being resilient, smaller parrotfish still need protection from overfishing. The larger ones have already been heavily harvested, beginning back in the 1960s and 70s when SCUBA and speargun technology became available.
The study results showed that large parrotfish are virtually absent from the most heavily fished reefs, with individuals over 25 cm in length forming only 3 to 6 percent of remaining stocks at the five most exploited sites.
Meanwhile, on protected reefs with healthy populations of both small and large parrotfish, for example at Carter Reef on Australia’s Great Barrier Reef, the corals are in prime condition.
Despite intensive fishing, the team found that the Indo-Pacific reefs studied still retain sufficient grazing activity to avoid phase shifts to macroalgae or seaweed that are taking place in other regions, such as the Caribbean.







