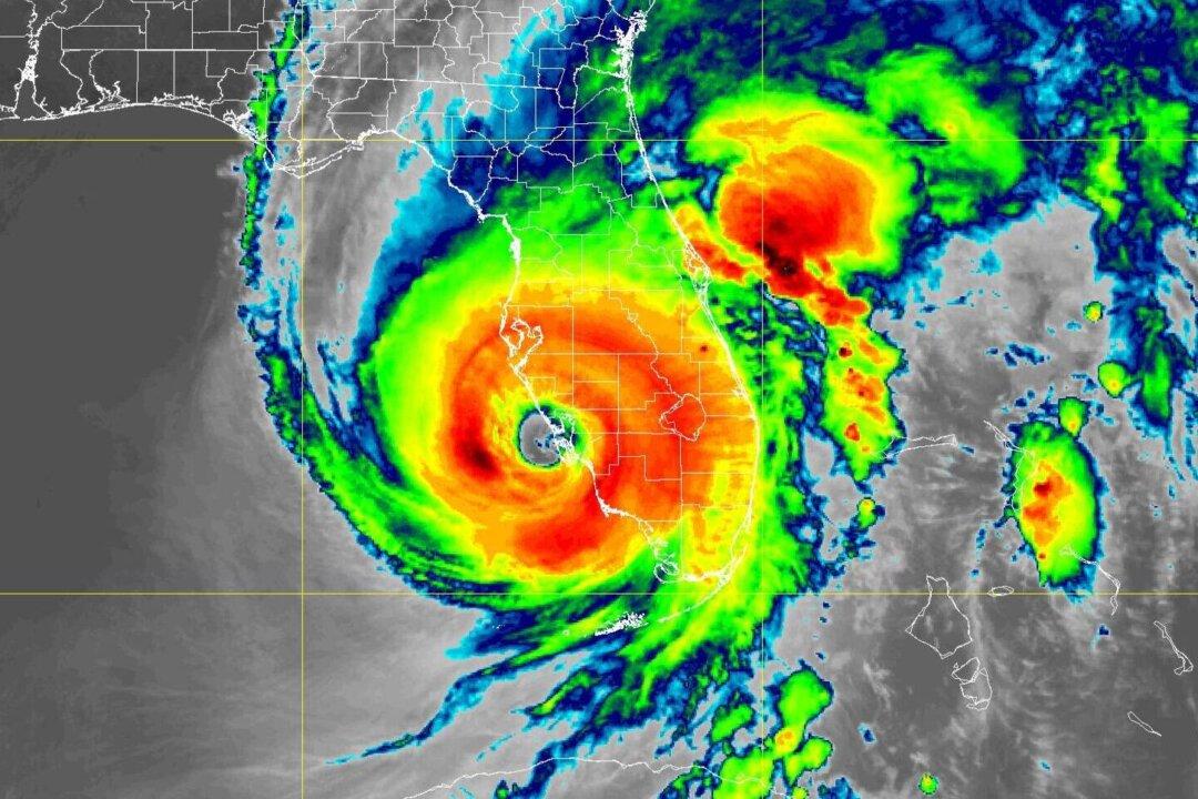
Over 1 million people in Florida are without power as of Wednesday afternoon due to the impacts of Hurricane Ian, according to a power outage monitoring website.
Across the state, 1.03 million lost power as of 4 p.m. ET, Poweroutage.us says. The majority of outages are located in Lee, Collier, Sarasota, Charlotte, and Manatee counties, it shows. Lee County appears to have seen the worst impacts, with over 60 percent of all customers losing power.





